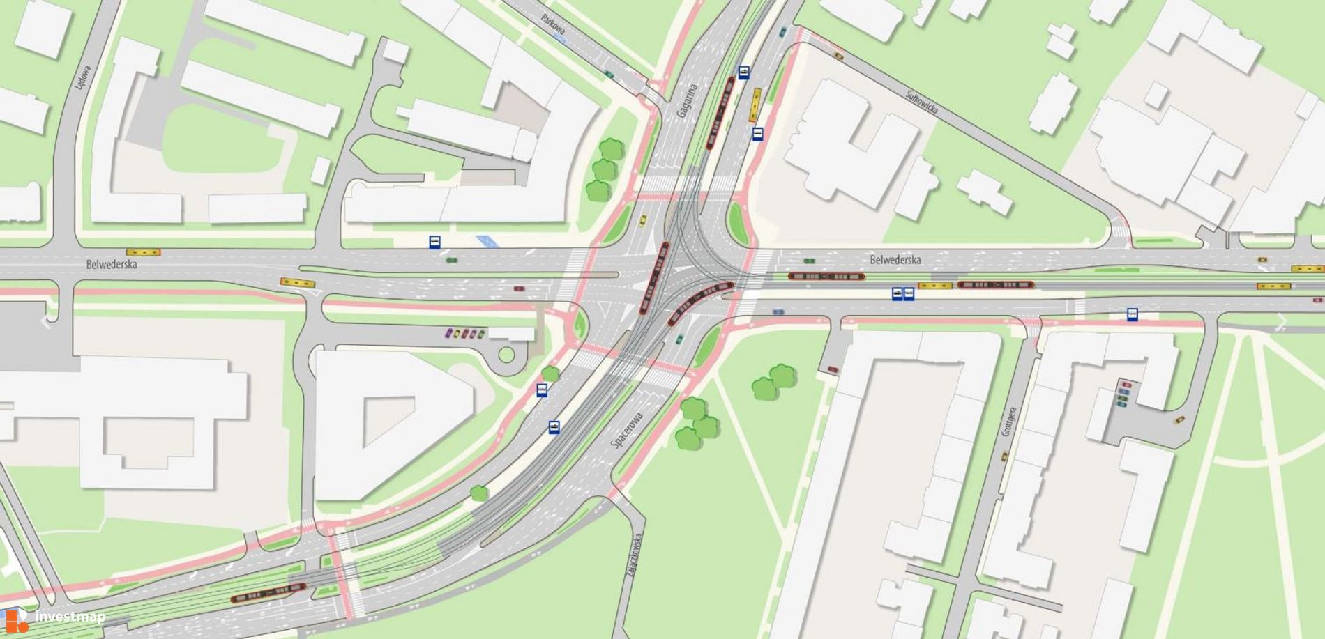
Wizualizacje Linia tramwajowa na Wilanów

obserwuj
źródłoTramwaje Warszawskie
dodał Orzech

Komentarze (0)

Napisz komentarz
REKLAMA