Wizualizacje Linia tramwajowa na Wilanów

obserwuj
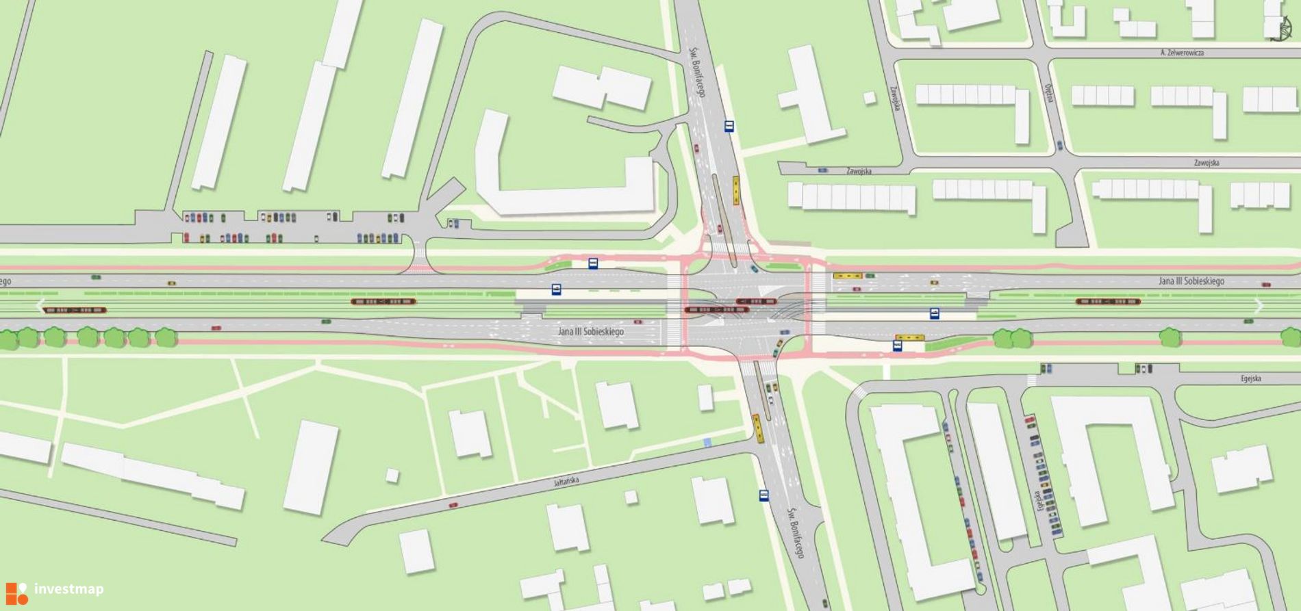
Wizualizacja Linia tramwajowa na Wilanów dodał Orzech
źródłoTramwaje Warszawskie
dodał Orzech

Komentarze (0)

Napisz komentarz
REKLAMA